

얼굴을 볼 때 마다 둥글어 보이거나
턱선이 무너져 길어 보이시나요?
운동이나 다이어트를 해봐도
원하는 만큼 갸름해지지 않아
고민되시는 분들이 계실 텐데요.
본원에 내원하신 환자분께서도
이와 같은 고민을 말씀하셨습니다.
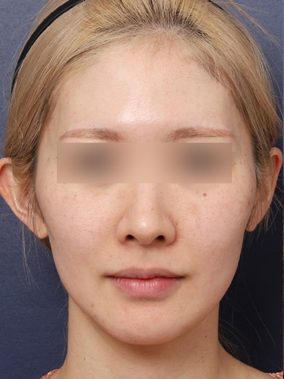
*본 사진은 환자 동의 후 촬영·게시되었으며,
개인마다 수술 결과와 회복 과정은 다를 수 있습니다.
"볼살처짐 해결
신사역 실리프팅 성형외과,
정면 모습 분석(전)"
✔️시술 전
- 볼 중심이 약간 아래로 내려와 있음.
- 팔자, 입가로 살이 쏠려 무겁게 떨어져 보임.
- 턱선 아래쪽 살짝 둔탁함.
- 하관이 퍼져보이고 세로로 길어보임.
볼살처짐은 피부 두께가 점차 얇아지고
지방층이 중력을 이기지 못하면서 발생합니다.
상담을 진행할 당시 환자분께서는
볼살~턱 라인까지 처지는 느낌이 들면서
얼굴이 길어보여 교정을 원하셨습니다.

"볼살처짐으로 생기는 변화"
볼살처짐이 눈에 띄기 시작하면
인상의 변화가 시작됩니다.
단순한 볼살의 처짐이 아닌
얼굴 전반의 조화를 해치고
나이가 들어 보이는 느낌까지 줍니다.

"신사역 성형외과 실리프팅
개선 효과는?"
볼살은 꺼진 부위만 채우는 개념으로
해결되지 않는 경우가 많습니다.
절개 없이 피부 속에 실을 삽입 후
처진 조직을 끌어올리는 실리프팅으로
즉각적인 얼굴 라인 정리가 가능했어요.
자연스러운 볼륨감 + 리프팅까지
동시 개선을 기대할 수 있었습니다.
*본 사진은 환자 동의 후 촬영·게시되었으며,
개인마다 수술 결과와 회복 과정은 다를 수 있습니다.
"볼살처짐 해결한
신사역 실리프팅 성형외과,
받은 후 모습 분석"
✔️시술 후
- 볼살처짐(입가, 턱 라인) 정돈 됨.
- V라인에 가까운 슬림한 턱을 완성함.
- 전보다 어려 보이는 이미지로 변신함.
아래로 내려가있던 볼 중심이
위쪽으로 올라오면서 볼륨이 살아났습니다.
그리고 턱 밑 처짐이 줄어들고
퍼져 보이던 하관이 정리된 효과로
탄탄하며 또렷한 인상으로 바뀌었습니다.
환자분께서도 받은 후 모습이
얼굴도 작아보이며 어려보인다고 만족하셨어요.

실리프팅 비용만 따지기보단,
여러 기준을 살펴보고
신중하게 골라야합니다.
루호성형외과의 실리프팅은
얼굴형, 피부 두께, 탄력
정도 등
여러 방면을 따져보고 진행합니다.
개인마다 다른 얼굴과 피부에 따른
실 종류 선택과 부위 선정이
중요한 시술이기 때문입니다.
볼살, 팔자주름 처짐 등으로
실리프팅을 고민 중이시라면
상담을 받아보시면 좋겠습니다.